推 cookie123 : 推11/09 11:24
→ cookie123 : 看通過菲律賓後強度剩多少吧11/09 11:24
推 a259526 : 要撞菲律賓了11/09 11:24
推 aa1477888 : GFS決定性預備 這樣也算倒向AI了11/09 11:26
推 aa1477888 : 如果真死在台灣海峽 感覺不是好事11/09 11:29
推 huangjyuan : 近岸比較好圍11/09 11:31
推 FQ5566 : 為何?11/09 11:31
推 luckymore : 衝太快就往西繞比較大圈吧11/09 11:32
推 xzcb2008 : 麵糊仔這輩子就這樣了11/09 11:36
推 davidwales : 還在講麵糰的,可以水桶了11/09 11:37
推 dunking : 也沒有到麵糊 就強度發展不如預期…11/09 11:39
→ dunking : 原本以為可以衝擊樺加沙的強度 搞到現在連C4都上不11/09 11:40
→ dunking : 去11/09 11:40
推 rock1331 : 講麵糊的可以水桶了11/09 11:41
→ dunking : 大環流結構性差也是事實 月份遮了還以為是8月類型11/09 11:41
→ dunking : 的颱風11/09 11:41
推 ligin : 轉上來就切死冷死 環流大估計可以撐比較久11/09 11:41
推 jefflin555 : 25N變成溫帶氣旋!11/09 11:42
推 thingslove : C4應該還是有機會的,只是沒剩多少時間了11/09 11:42
推 cookie123 : 就看能不能帶給我們更多驚喜11/09 11:45
→ airua : 看看樂透盤今天或明天怎麼開,強度、登陸點或不登陸11/09 11:45
→ airua : ,還是雨量? 11/09 11:45
推 davidwales : 她登陸的那個地方感覺地形破壞不若呂宋島明顯11/09 11:46
推 davidwales : 覺得破壞程度有限。台灣最好要提高警覺11/09 11:49
推 addison123 : 說麵糊的,11/09 11:51
→ addison123 : 上次輕颱就把南部吹爛了11/09 11:51
→ addison123 : 還在麵糊11/09 11:52
推 realion : 11月了,越北越無力11/09 11:54
→ timidwei : 之前有個熱低就下雨下爛了11/09 11:56
推 Klauhal : 各家對過呂宋後的強度差異還在分歧11/09 11:56
推 xxxff0645 : 他這結構搞不好過呂宋整容一下會弄出比較好看的型11/09 11:59
推 luckymore : 他登陸的位置平原比較多 結構破壞應該會減輕些11/09 11:59
→ xxxff0645 : 態11/09 12:00
推 a16628667 : 菲律賓出海後大減弱 讚讚讚11/09 12:02
推 curlymonkey : 麵糊強颱還是屌打鋼砲輕颱11/09 12:03
推 DanasYuri : 主要還是結構太差了,大環流 大爛眼 就很難了11/09 12:04
→ DanasYuri : 比康芮還不如11/09 12:05
→ DanasYuri : 可能海鷗也不如11/09 12:05
推 heaventrain : 陽明山的向天湖又可繼續豐沛 期待向天蝦11/09 12:05
推 singlesingle: 還有移動速度太快了 走慢一點的話也許就有C511/09 12:06
推 Yohan961205 : 所以ai看路徑比較好,比較不用看強度對吧11/09 12:06
推 Ohtani0510 : 認真問大家覺得這颱風有機會放颱風假嗎? 11/09 12:07
推 DanasYuri : 不過對台灣南部來說,看他路徑和減弱程度而定11/09 12:08
推 p0916336248 : 麵糊還放啥假 給我去上班上課11/09 12:08
推 heaventrain : 看會不會像2010的梅姬一樣卡鞍11/09 12:09
推 frozenmoon : 上面CWA新的降雨量預測,看來是東部跟山區比較強烈11/09 12:09
→ DanasYuri : 山陀兒登陸高雄不過才C1 市區就那樣了11/09 12:09
→ frozenmoon : ,其他地區還好11/09 12:09
推 Lemonfish004: 中心風力再怎麼減弱 雨一樣不會少11/09 12:13
推 cookie123 : 大風場的風勢不會因為中心減弱而減弱11/09 12:18
推 qadc : 登陸被破壞 加上北上冷空氣夾擊 堪慮11/09 12:27

推 a16628667 : 颱風假請洽北北基桃市長11/09 12:40
推 singlesingle: 感覺它現在很努力清空風眼11/09 12:41
推 aa1477888 : 鳳凰選了一個很微妙的位置靠近呂宋11/09 12:42
推 cookie123 : 感覺比預期南了一點?11/09 12:43
→ aa1477888 : 很明顯有靠呂宋地形在修整中心型態11/09 12:43
推 aa1477888 : 很有可能選一個最短路徑切過呂宋島11/09 12:46
→ aa1477888 : 這樣會把結構的損害減到最小11/09 12:47
推 cookie123 : 剛好走相對低的地勢通過11/09 12:48
推 lantistseng : 感謝整理11/09 12:49
→ tangtaiyu28 : 可是山陀兒在高雄測站連排名都沒有11/09 12:49
推 snocia : 新高雄氣象站位置問題11/09 12:50
→ snocia : 換位置之後各種氣象要素排名都要分開,差太多 11/09 12:51
→ xzcb2008 : 那就水桶啊 =.= 有差嗎11/09 12:56
→ xzcb2008 : 講麵糊就要水桶莫名其妙糾察隊歐11/09 12:58
推 WuCH1022 : 麵粉是沒前途的擾動 麵糊是不成材的熱低輕颱11/09 12:59
→ WuCH1022 : 就算來了會減弱 現在對對成熟颱風喊麵糊可謂妨礙11/09 13:00
推 yuku9 : 真挑最短路徑通過,鳳凰也太聰明!11/09 13:01
→ WuCH1022 : 防救災準備之嫌 會被炮意外嗎?11/09 13:01
→ aa1477888 : 未來兩天的環境並沒有預料中這麼差11/09 13:04
推 heaventrain : 麵糊快變成 雜魚 的代名詞了11/09 13:04
推 Hirano : 山陀兒最慘的是基隆吧,雨量78年最高,一堆崩塌災情11/09 13:05
→ Hirano : 連暴風圈都沒碰到,共伴下三天11/09 13:05
→ aa1477888 : 力拼12小時內過呂宋11/09 13:06
推 EcstasyE : 麵糊這形容不錯,可惜有人愛刁11/09 13:06
推 xzcb2008 : 隨便啦 形容詞怎麼用也愛到他=.=笑死11/09 13:09
→ xzcb2008 : 不然想個這種狀態其他形容詞也可以11/09 13:10
推 problemaker : 麵糊11/09 13:10
→ youngscott : 來台灣就是麵糊了啊,管他現在多強? 11/09 13:10
推 ga278057 : 現在還很熱,死不了的11/09 13:12
推 Yohan961205 : 其實麵糊這個詞沒有什麼問題11/09 13:12
→ Yohan961205 : 可是怕有人把麵糊看成很弱11/09 13:12
→ Yohan961205 : 麵糊還是有一定的危險度的11/09 13:12
推 luckymore : 高雄29度 現在…熱啊11/09 13:13
→ luckymore : 如果他走台南以南應該有機會維持些強度11/09 13:15
→ luckymore : 這邊海溫和風切比較親切XD11/09 13:15
推 PinPiinPiiin: 麵糊這輩子就這樣了,其實是一種恨鐵不成鋼的心境11/09 13:15
推 tomaschan : 麵糊蓋臉還是會窒息的好嗎(O11/09 13:17
推 cycy1127 : 高雄熱就算了 空氣還超差QQ11/09 13:20
推 SimleToMe : 弱颱11/09 13:24
推 XDDDDXDDDD : 台南也是悶悶的,空氣很霧==11/09 13:24
※ 編輯: kadar (111.255.194.90 臺灣), 11/09/2025 13:27:22
→ iio : 上一個被笑麵糊的...... 11/09 13:27
→ k26975582 : 東北風是不是吹進來了? 起風了 11/09 13:32
→ andlines : 台南現在空品都破百 有夠爛的 11/09 13:33
推 ligin : 北部別幻想颱風假 乖乖上班 11/09 13:35
推 akira911 : 現在蛋餅要找到用傳統麵糊煎的 而不是用中央工廠的 11/09 13:38
→ akira911 : 預製好的蛋表皮 已經很難找了 上次高雄還有一攤因為 11/09 13:38
→ akira911 : 這一味 通緝犯不小心被警察抓到 11/09 13:39
推 cookie123 : Josh追風追到受傷了..... 11/09 13:39
推 qscxz : 新聞滿滿的超級颱風 可是預報11號就轉中輕颱了 11/09 13:41
→ andlines : 那不就是粉漿蛋餅嗎 11/09 13:42
→ andlines : 請問目前強度還有機會強颱嗎? 11/09 13:43
推 mecca : 對啊我看新聞每一台都報的很恐怖 然後全國分發記者 11/09 13:43
推 akira911 : 看完網上新聞 還是回大氣版看大家分享比較實在 11/09 13:44
推 cryy : 粉漿蛋餅南部比較常見 11/09 13:44
→ Numenor : 麵糊歸麵糊,但這麵糊有可能讓你咕嚕咕嚕的 11/09 13:45
推 KEDEN : 上個被笑麵糊的 11/09 13:46
推 j891004 : 高雄空氣差是因為一堆神明在路上… 11/09 13:47
推 azcooper : 以前泥沙也被喊一坨散沙XD 11/09 13:48
推 singlesingle: 內湖下雨了 11/09 13:54
→ windty : 颱風未來北上過程環境差 能維持輕颱就不錯 11/09 13:54
推 frozenmoon : 網上新聞大多都報得很聳動 11/09 13:58
→ frozenmoon : 為了吸引點閱率的關係 11/09 13:58
推 cckhyofg : 誇大強度的也都桶一桶 11/09 13:59
→ frozenmoon : 但南臺灣跟東部還是要提高警戒防範比較保險 11/09 13:59
推 cookie123 : 但東部北部還是要慎防強降雨啊 11/09 14:02
推 widec : 請問明天中午有可能發佈海警嗎 11/09 14:04
→ aa1477888 : CWA目前估明天午後發 11/09 14:05
推 tttt0204 : 粉漿蛋餅超難吃…偷懶的店才會當特點來賣 11/09 14:05
推 papayapa2 : @@ 粉漿蛋餅....好吃的很好吃耶 11/09 14:07
推 realion : 小琉球附近海溫28度 11/09 14:08
推 icetea7930 : 弱弱的請問12號下午4點多台中往日本的航班取消機會 11/09 14:11
→ icetea7930 : 大嗎QQ? 11/09 14:11
推 kasim65 : 粉漿看店家 我自己會做 麵糊喇的好就好吃 失敗難吃 11/09 14:12
推 edwin040286 : 有人誇大強度嗎? 共識不是靠近台灣減弱 11/09 14:12
推 mecca : 樓上去看一遍新聞便知 11/09 14:18
推 WusoAiwen : 天佑台灣,我不想再放颱風假了 11/09 14:20
推 hunng5 : 這種路徑,就算北上掛掉了,加上東北季風,北部雨要 11/09 14:22
→ hunng5 : 防範 11/09 14:22
→ weiike : 沒有誇大強度啊 只是近台會變弱 新聞台之後就會轉了 11/09 14:26
→ weiike : 但即使是麵糊還是個颱風 11/09 14:26
推 all035 : 強度變弱 但該有的雨跟風還是在啊 11/09 14:28
推 edwin040286 : 現在就是要轉強颱。 還是說新聞要報靠近台灣會轉很 11/09 14:30
→ edwin040286 : 弱,請民眾不用擔心 11/09 14:30
推 SimleToMe : 北部乖乖上班 別期待了 11/09 14:30
推 roveralex : 怎麼會有人說丹娜斯是輕颱 真的傻眼 11/09 14:33
→ aa1477888 : 現在大概是鳳凰出生到現在 形態最好看的時候了 11/09 14:35
→ aa1477888 : 醜是醜 但該分層還是有分層 11/09 14:37
推 Championlins: 現在大概有強颱姿態了吧!看等等氣象署資料! 11/09 14:38
推 qwertgfp : 還好有呂宋島減弱颱風強度,上班還是要小心風雨 11/09 14:39
→ aa1477888 : 看AVN比較清楚 眼牆的強度其實很均勻 11/09 14:40
推 josh1985 : 這輩子就這樣了 還是 這就是巔峰了 11/09 14:44
推 Championlins: 這兩句是等號吧!只是一句比較負面不好聽,一句比 11/09 14:51
→ Championlins: 較正面好聽!XDD 11/09 14:51
推 aa1477888 : 其實說不定出海之後的型態會更好看 但強度變弱 11/09 14:53
推 abeliangroup: 鳳凰會涅槃 11/09 14:54
推 realion : 山陀兒.. 11/09 14:55
推 aa1477888 : 撞陸地可以給鳳凰強制收整核心的機會 11/09 14:55

→ andlines : 跟早上比紅色部分有縮小一點@@ 11/09 14:56
→ andlines : 但眼還是挺醜 11/09 14:56
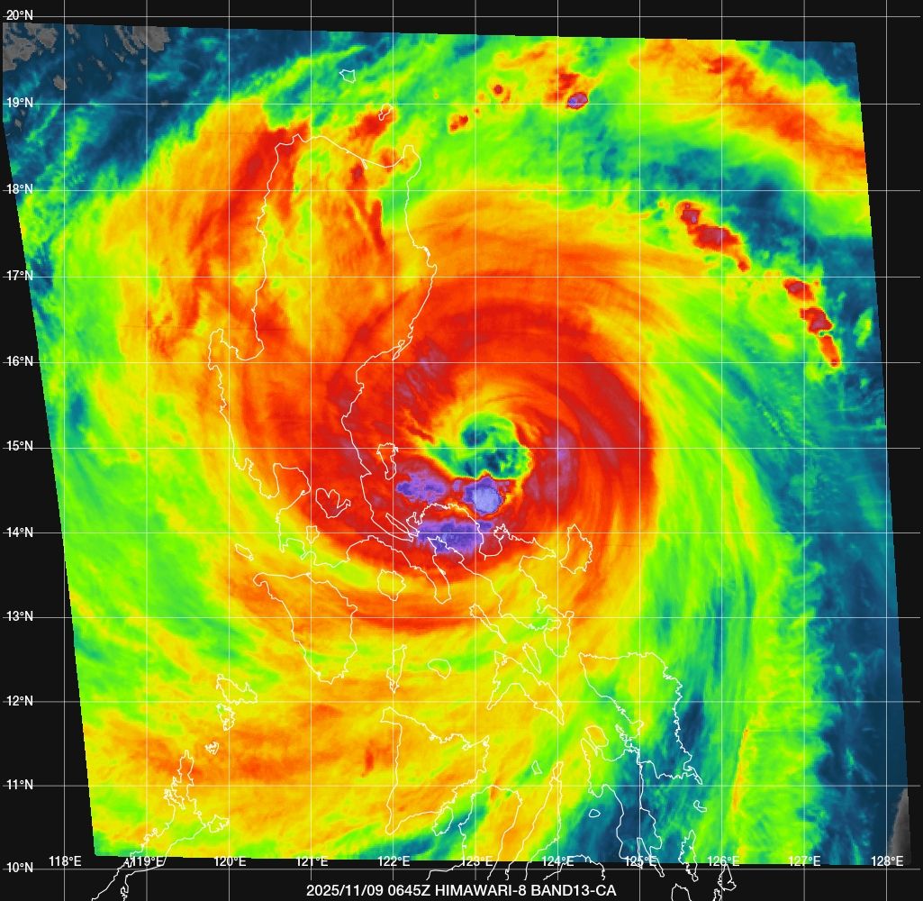
推 Capital235 : 好像中心沒有撞菲律賓的中央山脈? 11/09 14:57
推 meowchen : 山坨兒:邯鄲學步? 11/09 14:58

→ heaventrain : 平原較多 11/09 14:59
→ andlines : 但眼牆尻到那些高山應該也是重傷 11/09 15:01
→ weiike : 竟然偷偷閃過呂宋神山 11/09 15:01
推 luckymore : 剛好閃過山 經過平原扣血扣少一點 11/09 15:12
推 xxxxqay : 拜託不要來 有行程 垃圾颱風趕快解散 11/09 15:15
推 yaobj : 說鳳凰爛的,不要忘了,只要走台灣海峽上來的,西 11/09 15:17
→ yaobj : 南部有多慘,再加東北風符合效應,全台灣會被雨搞 11/09 15:17
→ yaobj : 到有多糟?(首長又不太只放豪雨假。) 11/09 15:17
推 Arens5566 : 爛是爛在很難放 11/09 15:19
推 kymco9999 : 目前CWA預測登陸位置大概在濁水溪出海口 11/09 15:20
→ kymco9999 : 上次登陸濁水溪的應該是 韋恩? 11/09 15:20
推 w921216 : 怎麼活都可,但不要來啊~~~也是有活動安排了 11/09 15:21
→ swallow919 : 莫忘7月的丹娜絲,南部被強風吹到電桿倒一堆 11/09 15:26
推 sspider0829 : 這角度 可怕 11/09 15:28
→ andlines : 14時的預報怎還沒出來@@ 11/09 15:35
推 Hirano : 出來了 11/09 15:36
→ youngscott : 已經不會升強颱了 一生就這樣了 11/09 15:39
推 rReaLl : 菲律賓這幾週好累 11/09 15:40
推 proman614 : CWA南調至台南七股登陸 11/09 15:41
推 cookie123 : 大J給115KT 11/09 15:42
→ proman614 : 看路徑最後是否又是FNV3的勝利 11/09 15:42
推 cookie123 : 這樣有C4嗎? 11/09 15:43
推 thingslove : 115KT就算入門C4了吧 只要老J不要偷改的話 11/09 15:45
推 TopGun2 : 丸子 11/09 15:45
推 mepatn : 麵糊揉起來變麵團 11/09 15:46
→ IYOUHESHE : 登陸點看看就好 兩個預報點間隔24小時 11/09 15:47
推 typhoon2010 : 一個48m/s等級的被說成麵糊…真苦…XD 11/09 15:50
推 aa1477888 : CWA這報路徑 跟FNV3基本上一模一樣 11/09 15:51
→ aa1477888 : 我還是得稱讚一下FNV3的硬氣 11/09 15:53
→ aa1477888 : 大家怎麼變 它就是不改XD 11/09 15:53
推 proman614 : FNV3這路徑已經穩定兩三天都沒變過了 看各機構路徑 11/09 15:53
→ proman614 : 最後會不會還是向他靠攏 11/09 15:53
推 aa1477888 : 我從沒見過任何一種機構/數值/AI預報有它這種自信 11/09 15:56
推 snocia : 這樣走北側眼牆外圍可能還是擦高山,眼睛那麼大 11/09 15:56
推 WCTB : 鳳凰一世還二世造成中部水災 還有想到卡玫基 ~~ 11/09 15:59
→ WCTB : 都是快20年前的事情了 11/09 15:59
→ l861128 : @proman614 看起來是台南登陸? 11/09 15:59
推 proman614 : 對 FNV3一直都是台南登陸 11/09 16:00
→ airua : FNV3有料 11/09 16:01
推 Kangaroo09 : 請問目前最接近哪個機構呀 11/09 16:03
推 Championlins: 2008年鳳凰是花蓮及南部地區水災比較嚴重,該年的 11/09 16:07
→ Championlins: 前一個颱風卡玫基(現在叫海鷗)才是造成中南部水 11/09 16:07
→ Championlins: 災的元兇之一! 11/09 16:07
推 nottell : AI又贏了嗎 11/09 16:07
→ nottell : 但感覺每次AI都會高估 11/09 16:07
推 wsc891211 : 台北開始刮風加綿綿細雨了 11/09 16:08
推 marpha : windy是走台灣海峽直至滅亡不登陸 11/09 16:08
推 Hirano : windy預設就EC 11/09 16:09
→ Hirano : 路徑還是AI準 強度就... 11/09 16:09
推 Championlins: 鳳凰跟2023年的杜蘇芮一樣當時碰菲律賓,都有預報 11/09 16:10
→ peter82615 : 實際路徑比FNV3偏南快100公里 11/09 16:10
→ Championlins: 出增為強颱機率,都差點變強颱,但杜蘇芮是走菲律 11/09 16:10
→ Championlins: 賓北方近海,鳳凰是走菲律賓中部~~ 11/09 16:10
→ peter82615 : 為何沒有顯著的RMT效應呢 11/09 16:10
推 TMC850613 : 眼牆準備上岸 11/09 16:12
推 Championlins: 之前有過幾次颱風上岸菲律賓前一刻增強,鳳凰該不 11/09 16:13
→ Championlins: 會來個最後的高潮吧~~ 11/09 16:13
→ andlines : 現在就看菲律賓能銷他多少血了 11/09 16:15
→ andlines : 七月才剛第一排體驗14級風,想不可能又要來一次= = 11/09 16:15
推 ligin : 閃過高山就爽了 11/09 16:15
→ andlines : 這路徑應該多少都閃不過了 11/09 16:16
推 tenshou : 氣象局也說台南登陸 11/09 16:17
推 frozenmoon : 台南棒球場GG 11/09 16:17
→ l861128 : 不知道登陸點會不會南調到高雄? 11/09 16:18
推 ligin : 從菲菲最狹宰的平原穿過 11/09 16:18
→ andlines : 現在登陸點先參考吧,北轉後才可能會比較準一點 11/09 16:19
推 agantw : 一年有兩個颱風從西部地區登陸有創造歷史嗎 11/09 16:19
→ happy1b1c : 新聞恐恐文說像偉恩,要重創南部了 11/09 16:20
→ airua : 自帶AI導航 11/09 16:22
推 kmtkmtkmt : 就看菲律賓削弱他多少了 感覺會散掉才是啊 11/09 16:23
→ kmtkmtkmt : 怎麼全部都預測會跑過來? 11/09 16:23
推 stvken : 韋恩是夏颱 跟這隻也差太多了 11/09 16:26
→ andlines : 東北風看來也是準時下來,到時候看能切多少 11/09 16:27
推 l2272 : 氣象局給到930了 居然還是中颱 11/09 16:29
推 CBRRR : 12號台中應該不會有太大問題吧 11/09 16:30
推 Championlins: 930~940一般中颱上限沒錯啊!雖然之前也有930強颱 11/09 16:34
→ Championlins: 但不多,一般強颱是925以下 11/09 16:34
推 windty : 東北風下來 接近台灣過程呈現減弱 颱風主體結構應 11/09 16:35
→ windty : 該已經被摧殘 比較要注意北部東部共伴雨 11/09 16:35
推 agh386690 : 反而要注意這次的共伴看起來比上回風神還要強.. 11/09 16:35
→ weiike : 預計今夜或明早登陸呂宋島奧羅拉省 菲國當局撤離逾 11/09 16:38
→ l861128 : 不是說這次比較沒有共伴嗎? 11/09 16:38
→ weiike : 10萬名居民(中央社) 11/09 16:38
推 openlion : 這像偉恩還是納莉啊? 11/09 16:44
推 agh386690 : 北東部反而要警戒,進南海的時候整個共伴配置相當良 11/09 16:48
→ agh386690 : 好 11/09 16:48
推 davidwales : 感覺很像丹娜絲2.0 11/09 16:48
→ davidwales : 差別只有登陸點從布袋到七股 11/09 16:49
推 ayachyan : 颱風假集氣 11/09 16:51
推 aa1477888 : 沒意外強風雨主要會落在兩個位置 11/09 16:52
→ aa1477888 : 一個是共伴位置 另一個是登陸點 11/09 16:52
→ aa1477888 : 麻煩之處在於鳳凰是大風場颱風 11/09 16:52
→ aa1477888 : 實際上的風雨感受可能會比預料中更廣 11/09 16:52
→ aa1477888 : 唉…CWA的風雨預報 要難為了 11/09 16:53
→ andlines : 個人是覺得登陸點還有的改... 11/09 16:57
噓 bang59487 : 東北季風一吹就散了 真有這麼嚴重嗎… 11/09 16:57
推 cookie123 : 大風場的颱風中心減弱但外圍不會明顯減弱啊 11/09 16:58
→ aa1477888 : 反過來說 就是因為有東北季風才讓事情變嚴重 11/09 17:00
推 cookie123 : 如同agh大說的 這次北部的共伴可能會比上次風神的 11/09 17:02
→ cookie123 : 還要強 11/09 17:02
推 mark850121 : 340mm又要重出江湖了嗎 11/09 17:08
→ tabrisPTT : 消失比較好,別再荼毒南部人了 11/09 17:13
噓 p0916336248 : 麵糊一顆 放啥假 不用放 11/09 17:13
→ NTUEESucks : 縮風圈 黑強度 340mm三件套來囉 11/09 17:13
推 jeffh : 這次北部有東北季風參戰,風雨真的不會小 11/09 17:14
推 wuuman : 說實話 彰化台中這邊 我有記憶以來 對颱風滿無感的 11/09 17:14
→ wuuman : 但颱風假也放的少 11/09 17:14
推 jenchieh5 : 中彰的風雨常常在颱風假之後才出現 11/09 17:20
推 tomnj : 不會放的不要來擾亂行程 11/09 17:22
推 thehoodguy : 快解體吧 11/09 17:25
推 sa952618 : 柵欄開了 草仔又出來嘴砲了 11/09 17:30
推 cycling : 這篇拜某些人所賜又要鎖囉 11/09 17:38
推 Championlins: 說東北季風一吹就散的是在… 11/09 18:18
推 lordwill : 為什麼說麵糊就要被桶==? 11/09 19:24