推 redbeanbread: 頭推11/08 20:25
推 a200ea200e : 推11/08 20:26
推 heaventrain : 到頂了11/08 20:28
※ 編輯: kadar (42.78.191.234 臺灣), 11/08/2025 20:29:05
推 heaventrain : 雞蛋颱風 11/08 20:31
推 mepatn : AI模式大部份都在南部登陸 11/08 20:31
推 chen0625 : 感覺可以開賭盤 11/08 20:32

→ thingslove : 就差北側了,這次能圍好嗎 11/08 20:42
推 uodam64402 : 東北東風的高層風切不小,難度有點大… 11/08 20:43
推 qadc : 預報一登陸菲就變超慢 這邊是關鍵 11/08 20:48
→ l861128 : 可以遠離南部嗎?不知道CWA會不會往南調整登陸點? 11/08 20:48
推 uodam64402 : 的確,2004南瑪都從菲出海到登陸花不到一天半,這次 11/08 20:50
→ ilutc : 近台時間變成週四下午以後了 之前是週三夜間 11/08 20:50
→ uodam64402 : 可能要花上兩倍時間。另外北部雨勢可能也要看是否會 11/08 20:51
→ uodam64402 : 像風神又或是2004南瑪都等一票共伴颱風,在東北部外 11/08 20:52
→ uodam64402 : 海生成低壓。AIFS感覺有這種趨勢。 11/08 20:53
推 ilove23 : 無知請教專業,這有可能影響到週末嗎? 11/08 20:53
推 realion : 去年AI秋颱的部分是不是輸傳統 11/08 20:56
推 uodam64402 : 週末應該是鋒後冷空氣南下,北部應該還是有雨勢。 11/08 20:57
推 kuo3027 : 下週又要冒風雨上班了QQ 11/08 20:57
推 uodam64402 : 另外提醒家中長輩與心血管疾病患者,這波颱風過後的 11/08 21:00
→ uodam64402 : 可能會很有感,下個週末(14~16日)注意保暖。 11/08 21:00
→ uodam64402 : 颱風過後的冷空氣,漏了。 11/08 21:01
推 aa1477888 : AI大戰數值模型 這下有趣了 11/08 21:08
→ frozenmoon : 如果是文中這張降雨預測圖的話,13號雨量就很少了 11/08 21:08
推 snocia : 去年秋颱AI一樣贏,都早一步,只有一個特例康芮, 11/08 21:10
→ snocia : 但他是GFS贏不是傳統贏,GFS以外一樣爛 11/08 21:10
推 s1060377 : GFS這個鬼轉 11/08 21:13
推 Capital235 : 12號修掉了? 11/08 21:13
→ Capital235 : 但是卡大貼的圖12號雨量還蠻多的欸 11/08 21:14
→ airua : 雨量常常每日大修 11/08 21:15
→ andlines : GFS會不會跟去年一樣 一人打全部呢XD 11/08 21:16
→ frozenmoon : GFS不是通殺就是賠到脫褲 好刺激 11/08 21:18
推 Championlins: 樓上的定量降水預報怪怪的吧!11月12~13號颱風可 11/08 21:18
→ Championlins: 能登陸西半部地區,不可能沒什麼降雨啊! 11/08 21:18
→ frozenmoon : 那不是我的 那是這篇文中的其中一個連結 11/08 21:19
推 Yohan961205 : 所以fnv3這次預測強度定太高了 11/08 21:20
推 stvken : frozen 貼的是不會登陸離很遠的Gfs預測圖 11/08 21:21
推 stu962046 : 現在雨量大修很正常,差一點雨區就差很多 11/08 21:22
推 stvken : 所以西部降水預報才會長這樣 11/08 21:22
推 HWtseng : 怎麼走,東部似乎都免不了大雨 11/08 21:23
→ dildoe : 吃不到東北風 不少水汽掉在海上吧 11/08 21:24
推 Championlins: frozen大我知道,我是指你貼的數據怪怪的! 11/08 21:29
→ MuBan : 我看菲律賓完蛋了,上個颱風的善後都還沒搞定,又 11/08 21:29
→ MuBan : 來個更猛的 11/08 21:29
推 luckymore : 所有模式的共識都是東部會有很多雨~ 其次是北部 11/08 21:32
推 HWtseng : FNV3幾乎這幾天都沒什麼大改,反倒AIFS都還有再調 11/08 21:32
→ HWtseng : 整。 11/08 21:32
推 helloemperor: 看來要等週一才明朗 11/08 21:39
推 joy2105feh : 北部雨勢預測比上波大雨還少 看來這次還是無望 11/08 21:39
推 DoncicMVP : 請問,為什麼南部的風雨都預估不大呢 11/08 21:39
推 thingslove : 最終路徑決定雨區分佈以及雨量,差一點點就差很多 11/08 21:43
推 vaughn : 南部在背風 11/08 21:44
推 luckymore : 因為現在11月 是東北季風的主場 南部除非颱風結構完 11/08 21:47
推 qadc : 就天兔 11/08 21:47
→ luckymore : 整的登陸 不然東北季風都不會給南部雨量 11/08 21:48
推 TMC850613 : 等過菲律賓再來看登陸位置 11/08 21:50
→ TMC850613 : 丹娜絲一開始還修到海峽中線 11/08 21:50
推 kevabc1 : 過了呂宋還是什麼型態再來看都不遲 11/08 21:52
推 singlesingle: CWA新一報出來了 過去移動時速40公里... 11/08 22:01
噓 dunking : 看CWA預測14-16台北還沒跌破20度耶 11/08 22:02
→ airua : 嘉南登陸點機率還滿高的 11/08 22:04
推 TMC850613 : 這報登陸強度剩30m/s 輕颱 11/08 22:05
推 uodam64402 : 如果旋生的溫帶氣旋與槽後冷空氣不強,那帶下來的空 11/08 22:07
推 TMC850613 : 南面那塊撞進去菲律賓的雨又要下爆了吧 11/08 22:07
→ uodam64402 : 氣就不太冷,但照往常颱風被槽拉上去,後頭通常有冷 11/08 22:08
推 hsr7016 : 西半部要看登陸點在哪吧 登陸點雨會比較多 11/08 22:08
→ uodam64402 : 空氣南下就是。 11/08 22:08
推 luckymore : 下週冷空氣主力還是偏北通過 沒有什麼南下跡象 11/08 22:09
→ uodam64402 : 西半部要看登陸點,登陸點的「北邊象限」應該是雨多 11/08 22:09
→ luckymore : 副高還是阻擋的很穩(?) 11/08 22:09
→ uodam64402 : 的,尤其是第一象限。 11/08 22:10
推 hsr7016 : 另外還要看靠近台灣時與台灣地形的交互影響 11/08 22:11
→ hsr7016 : 原本預測擦邊的丹娜絲最後變成一頭往玉山撞下去 11/08 22:12
推 uodam64402 : 丹娜絲的原LLCC最後是死在合歡山一帶的… 11/08 22:13
→ andlines : 新一報登陸點又南修了 11/08 22:14
推 r12899987 : 往南調至雲林口湖一帶 11/08 22:14
→ andlines : 新FNV3 C5快修沒了@@ 11/08 22:16
推 uodam64402 : 這個颱風本身是東西風交集而成,有點類似今年的薇帕 11/08 22:19
→ uodam64402 : ,因此不像東風波那樣核心小,反而有點季風低壓模樣 11/08 22:20
→ uodam64402 : ,這種本身增強就慢了,圍出來的風眼也一定大,不利 11/08 22:20
→ l861128 : CWA不是南修到嘉義了嗎? 11/08 22:21
→ uodam64402 : 定強。比康芮兩個LLCC混合,增強不利因素更多。 11/08 22:21
→ uodam64402 : 但這大塊東西進西風帶,衍生的溫旋強度理應不俗啊? 11/08 22:24
推 aegis43210 : 前身是羅士比波,可惜環境風切大 11/08 22:28
推 xzero0911 : 各種模式分歧好多種 這顆有趣 11/08 22:29
→ aegis43210 : 一直有25KT的垂直風切,就算有不錯的極向輻散,增強 11/08 22:31
→ aegis43210 : 的也很不順利 11/08 22:31
推 Championlins: CWA南修所以強度有調強,原本是在西半部近海輕颱下 11/08 22:31
→ Championlins: 限,現在是登陸過山到宜蘭近海還有輕颱下限! 11/08 22:31
推 ouo666ouo : 煩欸冷空氣又休掉 11/08 22:42
推 hsnu2000 : 路徑轉北 真意外XDDDDDDDDDDDDDDDDDD DDDD DDDD DD 11/08 22:59
→ hsnu2000 : DD 11/08 22:59
推 aegis43210 : 十一月要有低於20度的天氣,通常要到下旬,別太著急 11/08 23:02
推 tank44444 : 前幾天還在媲美梅莉莎,越修越弱 11/08 23:02
→ qoakzm : 這真的會北轉嗎 11/08 23:02
推 kingard9632 : 又嘉義??? 7月才被轟炸過一次欸.. 11/08 23:05
推 HWtseng : 宜蘭出海,還有18M/S,那中部還真的要注意防颱了 11/08 23:09
推 r12899987 : 我覺得會死在台灣過不了山欸 11/08 23:11
推 Championlins: 有機會過,這顆接近台灣速度會加快,不像去年山陀 11/08 23:13
→ Championlins: 兒跟天兔這樣拖拖拉拉! 11/08 23:14
推 ping860622 : 這隻風場那麼大,就算中部登陸可能高屏也很有感 11/08 23:16
→ andlines : 不知北轉時有沒可能卡住 感覺暴風圈快接觸菲了 11/08 23:16

推 TMC850613 : 不要拉不走丟在高屏山區就好 11/08 23:18
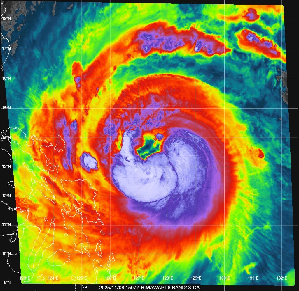
推 huangjyuan : 眼睛醜了點 環流蠻紮實的 11/08 23:20
推 yuku9 : 希望不要卡…一卡怕雨又一直下.. 11/08 23:20
→ weiike : 先挑戰呂宋神山 看表現如何 11/08 23:21
→ happy1b1c : 北北基桃不用幻想了~就一二雨大點而已~ 11/08 23:24
推 uodam64402 : 我反倒覺得這顆如果登陸臺灣,應該直接被東北部外海 11/08 23:25
→ andlines : 眼是真的醜,這一段應該沒時間再增強了吧? 11/08 23:25
→ happy1b1c : 花蓮又要連扛四天了... 11/08 23:26
→ uodam64402 : 的溫旋直接取代吧。這樣北部雨勢還會在離去前強一波 11/08 23:26
推 karachi : 還好吧,這個季節就算卡在南部山區,沒有西南風支 11/08 23:27
→ karachi : 援也很快就消散了 11/08 23:27
→ karachi : 反而是花蓮令人擔心.. 11/08 23:27
推 TMC850613 : 看回顧 12年前菲律賓剛迎接完海燕 11/08 23:29
推 DukeGD666 : 想請問禮拜三/四北北基桃的風勢和雨量會很大嗎 11/08 23:30
→ uodam64402 : 應該還有C4可能,只要眼牆不要磨到卡坦端內斯島就好 11/08 23:30
→ andlines : 好奇的是目前還是中度,但這速度還有時間讓它變強 11/08 23:31
→ andlines : 度嗎? 11/08 23:31
推 jeffkent : 中彰颱風常常都還好,甚至無感 11/08 23:32
推 thingslove : 祂會在你睡覺的時候變強 真的 11/08 23:35
推 karachi : 北北基應該是雨遠大於風吧 11/08 23:36
推 uodam64402 : 強烈(對應C4上限)感覺有點難,主要是路徑偏南,可 11/08 23:37
→ uodam64402 : 能會受到卡坦端內斯島和比科爾半島的地形影響。 11/08 23:37
→ uodam64402 : 北北基要看近臺時,可能會在東北部旋生的副中心位置 11/08 23:40
推 uodam64402 : 至於中彰,就看颱風是不是北到雲嘉登陸,與近中心剩 11/08 23:42
→ uodam64402 : 餘對流的程度,出現切向東北的CCC就要防強降雨了。 11/08 23:44
推 thingslove : 目前ADT的Final T#來到6.8 11/08 23:45
推 tangtaiyu28 : 沒還好吧 凱米跟丹娜斯不是雨都下到成災嗎 11/08 23:48
推 cookie123 : 假如有副中心產生的話 北部的雨會像上次一樣那麼大 11/08 23:48
→ cookie123 : 嗎? 11/08 23:48
→ embeth0925 : 現在目前可以確定的是登陸點在西岸了 11/08 23:58
→ Lemonfish004: 這隻風圈大的可怕 11/08 23:58
推 aa1477888 : 風場非常之驚人 11/09 00:00
→ aa1477888 : 快跟整個菲律賓一樣大了 11/09 00:01
推 cookie123 : 檸檬大你那個圖是哪裡看的啊? 11/09 00:02
推 jimmychung07: 狹管效應加上東北季風梯度加成,沿海風會挺強的吧 11/09 00:03
推 Lemonfish004: 百度風吧抓過來的 11/09 00:07
推 Capital235 : 是風場掃描圖嗎? 11/09 00:08
推 diefishfish : 怕 11/09 00:08
推 edwin040286 : 上來就只是輕颱甚至不是颱風了 11/09 00:09
推 cookie123 : 風場大的颱風就算中心解體 外圍的風勢是不會減弱太 11/09 00:10
→ cookie123 : 多的啊 11/09 00:11
→ embeth0925 : 怎麼一直有種感覺為什麼版上很多人對這隻颱風一直 11/09 00:13
→ embeth0925 : 當作麵糊看== 11/09 00:13
推 uodam64402 : 是的,風場大整體動能多,減弱後動能還是會不少。 11/09 00:13

→ thingslove : CDG的對流很驚人 但目前風眼不夠圓潤 11/09 00:15
推 anhsuan : 應該跟上次一樣,等過山到北部已經快散掉了吧? 11/09 00:15
推 cookie123 : 這種大風場+東北季風加乘 全台的風力不會小到哪裡去 11/09 00:16
推 uodam64402 : 光是中層水氣和東北季風加成,北部雨就很大了,副中 11/09 00:24
→ uodam64402 : 心產生只是加速東北風和對流幅合,只會更慘。 11/09 00:25
推 lazo : 這路線就算是麵糊還是不能輕忽,要小心防災 11/09 00:25
→ uodam64402 : 中南部除了強東北風也要注意是否會CCC上陸… 11/09 00:26
推 WCTB : 南海環境是多差一堆人不看好@@ 11/09 00:28
推 Eeli2008 : 整容中 看眼能不能變圓 11/09 00:29
→ uodam64402 : 剛過菲的南海,還至少是能重整的環境(EC報會小幅加 11/09 00:29
→ uodam64402 : 強),差的環境主要是過20N以後,西風帶風切+冷空氣 11/09 00:30
→ uodam64402 : +低熱焓海溫。另外移速也是決定性要素。 11/09 00:31
推 cookie123 : T值起飛!? 11/09 00:32
推 qadc : 北面完全不行 這樣上來不很明顯了 11/09 00:36
推 uodam64402 : 就東北東風中層風切,外加眼牆是拼接式圍繞,所以第 11/09 00:38
→ uodam64402 : 二象限還不行,反倒是第四象限出現雙眼牆狀況。 11/09 00:38
推 cookie123 : 7.0 11/09 00:44
→ thingslove : 感覺最後還是要靠南側的對流硬卷上去 11/09 00:45
推 vul81320 : 舒舒服服來吧 11/09 00:45
→ arcticircle : 7.0算是強颱了 11/09 00:46
推 thingslove : 但那只是ADT的分析 並非機構 11/09 00:57
推 lc85301 : 怕 11/09 01:09
推 DanasYuri : 對流王 ADT 7.0 11/09 01:11
→ DanasYuri : 這大爛眼版的Zeb 11/09 01:12
→ DanasYuri : ADT 對於這種颱風可能高估 實際強度沒那麼高 11/09 01:12
推 kumafez : 我選擇支持GFS 11/09 01:14
推 TMC850613 : 好像走太快 要從卡坦島那邊登陸了 11/09 02:08
→ gpx369 : 花蓮QQ 11/09 02:15
推 jefflin555 : 韓國KMA這報18Z給到47 m/s了 11/09 03:09
推 bang59487 : 強歸強 登陸到台灣又碰到東北風 就差不多掰了 11/09 03:20
推 Homeshadow : 周四要飛....崩潰 11/09 03:23
推 heaventrain : 18Z的強度大J給到110KT 海鷗表示? 11/09 03:50
推 Championlins: 今早2時強度來到中颱上限了!風速每秒48公尺,即將 11/09 04:17
→ Championlins: 增強為強颱! 11/09 04:17
→ NowQmmmmmmmm: 補了不少水氣菲律賓雨要下爆了 11/09 04:17
推 Championlins: Now大上上面那張windy似乎中心比較南邊,原先的衛 11/09 04:21
→ Championlins: 星雲圖中心再北一點沒那麼靠近卡坦島! 11/09 04:21
推 realion : GFS有點東西喔 11/09 04:37
推 a89103050 : 南海環境不是很好,就看鳳凰能撐多久 11/09 05:26
→ heaventrain : 底層增厚 11/09 05:31
推 ben108472 : 結構實在太差了,大爛眼風切又強,怎麼卷都卷不好 11/09 05:58