推 Bustycat : 罕有長時間落在德法分析誤差範圍底部的颶風10/27 18:41
https://i.meee.com.tw/kNdXzNx.jpg

推 heaventrain : 感覺牙買加可以躲過一劫10/27 20:22
推 aegis43210 : 第一次看到CDG環,但風速那麼差的...10/27 20:37
→ aegis43210 : 一臉165kts的形態,實測只有130kts…10/27 20:38
推 uodam64402 : 感覺是滯留而沒有移速加成,再加上中層微弱風切抑制 10/27 21:53
→ uodam64402 : 增強,但使對流激發更強烈。現在也已經有140kts了,10/27 21:54
→ uodam64402 : 且氣壓也達到910hPa,還沒有開始外眼牆置換。10/27 21:55
→ chang1997 : 型態真的超美的...10/27 22:07
推 papapopo : 去年milton 就給好大方 怎麼這顆10/27 22:43
→ papapopo : *實測10/27 22:44
推 papapopo : 目前路徑應該可以避開牙買加人口密集區10/27 22:45
推 heaventrain : milton最巔峰的幾個小時剛好沒實測 給可以10/27 22:53
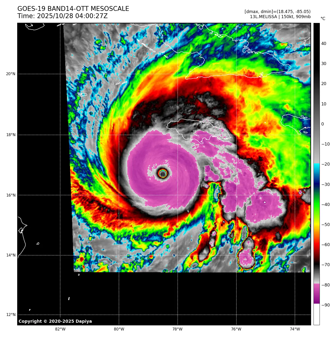
推 Lemonfish004: 就是因為有實測才給不到150+ 一翻兩瞪眼10/28 00:07
→ Lemonfish004: 目前緩慢增強中 FL161 氣壓90510/28 00:08
推 aegis43210 : satcon目前給151KTS 10/28 00:24
推 DanasYuri : 這型態 就像莫蘭蒂,而且T7.5 以上有12小時了10/28 00:34
→ DanasYuri : FL 161kt 有機會上145kt10/28 00:35
推 kbty245 : NHC:150kts 906mb10/28 02:08
推 kbty245 : 應該是參考了投落送10/28 02:08
→ kbty245 : 如果這傢伙移速正常點已經是160-165kts的猛颶了10/28 02:09

→ heaventrain : 看入夜強度再衝一波10/28 08:28
推 chang1997 : 看移速只有時速3公里?這麼慢沒有翻攪冷水的問題嗎10/28 09:03
→ chang1997 : 不過OHC似乎是不錯10/28 09:03
sst有29-30度的樣子,加勒比海也是少數能支持這種強度滯留的海域了
推 tetratio : 西太又輸了 10/28 09:09
※ 編輯: jimmy415 (49.216.25.225 臺灣), 10/28/2025 09:18:15
https://i.imgur.com/sdJqk0e.jpeg
FL162 902.8hpa 還在降壓,但是(台灣時間)昨天晚上貌似進行過結構調整,導致這短
時間眼溫略下降,風速變化不大
※ 編輯: jimmy415 (49.216.25.225 臺灣), 10/28/2025 09:21:40
推 papapopo : 北大C5三連發 平05年紀錄了 10/28 09:22
推 Lemonfish004: 移速太慢了 NHC直接預測牙買加颶風侵襲期間會降下 10/28 09:50
→ Lemonfish004: 約1000mm的豪雨 10/28 09:50
推 Lemonfish004: 北大05年有4隻C5 10/28 09:54
https://i.imgur.com/fIIPkOX.jpeg
ADT持續激進定強,分析的raw T已經達到8.5
※ 編輯: jimmy415 (49.216.25.225 臺灣), 10/28/2025 10:13:38
推 seancschang : 這種移速慢的貨 建議看四個象限眼牆平均值 其實沒 10/28 11:15
→ seancschang : 那麼糟 10/28 11:16
推 tetratio : Raw T 8.6 好扯 10/28 11:22
推 Capital235 : 11月似乎有颱風接近? 10/28 11:23
推 yasan1029 : 哪裡看起來像接近XDDD10/28 11:45

→ DanasYuri : 各方面高層 底層都是頂級 實測比較意外10/28 12:05
→ DanasYuri : 看起來可能是中層風切影響或移速偏慢. 不清楚才15010/28 12:05

推 tetratio : 又一個頂級燕窩 雖然還可以再圓一點10/28 12:13
https://i.imgur.com/Nt0sUMc.jpeg
185kt!!!(然而實測只支持150kt)
※ 編輯: jimmy415 (49.216.25.225 臺灣), 10/28/2025 12:18:54
推 yutaka28 : 不知道那一天這種強度的颱風颶風會變得越來越常見 10/28 15:59
https://i.imgur.com/I6DmjYT.jpeg
https://i.imgur.com/GZ1Imnu.jpeg
稍早可能經過了一次融合置換,雷達底層加厚且眼溫回升到近20度
※ 編輯: jimmy415 (49.216.25.225 臺灣), 10/28/2025 20:17:58
推 aegis43210 : 8.6…,又要再擴充到9.0了? 10/28 20:20
推 Lemonfish004: 飛機正在進行登陸前最後一次實測 10/28 20:23
https://i.imgur.com/8JbyH2y.jpeg
雷達顯示底層很強
※ 編輯: jimmy415 (49.216.25.225 臺灣), 10/28/2025 20:27:08
推 Lemonfish004: 最新氣壓893.5 FL182 10/28 20:41
→ Lemonfish004: 看錯了 FL是165 10/28 20:42

推 heaventrain : milton後再來,896mb/155kts NHC10/28 21:02


→ heaventrain : 近岸爆發太可怕了 10/28 21:15
推 Lemonfish004: 剛剛的FL165被標可疑數據 也就是說 連實測都無法確 10/28 21:16
→ Lemonfish004: 定風速10/28 21:17
https://i.imgur.com/a4iaZpG.jpeg
892.3hpa,對風速的懷疑越來越多了
※ 編輯: jimmy415 (123.195.204.36 臺灣), 10/28/2025 21:18:11
推 Lemonfish004: 反正最強登陸颶風快被它破了 1935勞動節是892登陸 10/28 21:21
推 papapopo : 見證歷史 10/28 21:29
推 aegis43210 : SATCON給902百帕,153kts,仍然是很接近實測的分析 10/28 21:30
推 WeGoYuSheng : 天佑牙買加.. 10/28 21:31

推 yutaka28 : 好奇,海燕有實測嗎? 10/28 21:33
→ heaventrain : 投落儀 10/28 21:33
推 Lemonfish004: 沒有 西太平洋颱風很少實測的 10/28 21:47
推 heaventrain : 一些靠近日本的颱風可能會有大學實測 忘了哪些 10/28 21:52
比如今年的哈隆颱風?它有氣壓實測
※ 編輯: jimmy415 (123.195.204.36 臺灣), 10/28/2025 21:55:27
Melissa剛才測到FL173,*0.9折算是155kt
※ 編輯: jimmy415 (123.195.204.36 臺灣), 10/28/2025 21:56:50
※ 編輯: jimmy415 (123.195.204.36 臺灣), 10/28/2025 21:57:33
推 heaventrain : 892mb/160kts 超過Otis的最強登陸颶風要誕生了 10/28 22:05
推 heaventrain : 並肩勞動節颶風 北大西洋第三低 10/28 22:12
→ heaventrain : 氣壓 10/28 22:12
→ kbty245 : 海燕有過巔峰4小時後,即將登陸吉萬時的雷達反演風 10/28 22:16
→ kbty245 : 速,3公里高度196.4kts,折算地面176.7kts 10/28 22:16
→ chang1997 : 即將登陸 10/28 22:17
https://i.meee.com.tw/PMgjmg4.jpg 底層非常強,讓他的實測風速更不可思議

推 DanasYuri : 西太實測 最近有 25哈隆 25浣熊 22南瑪都 18潭美 1 10/29 00:10
→ DanasYuri : 7蘭恩 10/29 00:10
推 kbty245 : NHC判斷巔峰登陸 160kts 892mb 10/29 01:29
推 kbty245 : 和勞動節風暴並列大西洋史上最強登陸颶風 10/29 01:30
推 orze04 : 追風獵人的飛機扛不住,撤退了 10/29 02:57
推 aegis43210 : SATCON分析給巔峰896百帕,174kts,預期年鑑會給170 10/29 04:26
→ aegis43210 : kts 10/29 04:26
推 kbty245 : 有實測幹嘛還看SATCON 10/29 04:28
推 bhmtkkk1234 : 太扯了! 10/29 13:33
→ chang1997 : 二次登陸古巴 10/29 15:36
推 a89103050 : 風眼好漂亮啊 10/29 20:02
推 v63718x4 : 牙買加超級慘 10/30 08:49
→ DanasYuri : 海燕 天鵝 在過來風毀就是梅莉莎了 10/30 19:27
推 mumeisuki : 扯 樹都沒了 10/30 21:39
推 applejone : 這放在古代就是傳說中的世界末日了 10/30 22:29
推 Capital235 : 會來? 10/31 08:32
推 abeliangroup: 太早 10/31 09:15
推 wsc891211 : 樺加沙的西太風王寶座會在11月被拉下來嗎 10/31 12:16
→ joinptt : 很震撼,保護得那麼好的雨林跟珊瑚礁,就一次全沒了 10/31 12:20
推 orze04 : 沒有,現在的珊瑚礁是最近10年復育的。 10/31 14:26
噓 devil157 : 大西洋超越吉伯特的風王搶下今年風王 10/31 22:39
推 rulDD : 會靠近 但靠近會冷死 11/01 11:00
推 ben108472 : 是切死不是冷死,台灣附近海溫還是很高 11/01 12:03
推 heaventrain : 有捲冷空氣南下 跟降低海溫 就很賺了 11/01 12:11
推 HellFly : 重點是把颱風東方 海溫耗一耗 方便後續冷空氣南下 11/01 13:00
→ DanasYuri : z 11/02 00:29